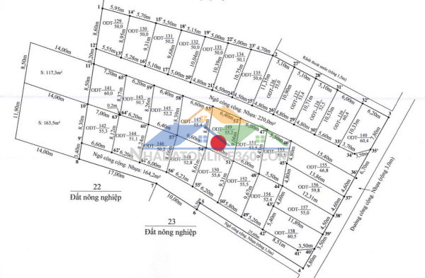
Lô 55.2m² giá 7xx triệu – lô hiếm mặt tiền 6.4m, ngõ nhựa ô tô tránh zalo 0567 222 555

Phường Hợp Đức, Quận Đồ Sơn, Hải Phòng

795 triệu
55 m2
28-11-2025
Thông tin mô tả:
Lô 55.2m² giá 7xx triệu – lô hiếm mặt tiền 6.4m, ngõ nhựa ô tô tránh ZALO 0567 222 555
-Diện tích: 55.2m²-Mặt tiền: 6.40m-Đường trước đất: Ngõ nhựa 3–3.5m, ô tô vào tận nơi-Vị trí: KDC Quyết Tiến, Hợp Đức, Nam Đồ Sơn – gần trục trung tâm phường-Pháp lý: Bìa đỏ riêng, chuẩn chỉnh-Tiện ích: Gần trường – chợ – cụm dân cư đông đúc, gần đường ra biển-Tiềm năng: Khu vực đang hoàn thiện hạ tầng, thanh khoản cao nhờ quỹ đất Đồ Sơn ngày càng khan hiếm-Giá: 7xx triệu
Liên hệ ngay để xem đất thực tế và chốt sớm.
============================================NHÀ ĐẤT ANH MINH 782 Phạm Văn Đồng, Dương Kinh, Hải PhòngTrọng Điểm: Dương Kinh • Đồ Sơn • Kiến ThụySĐT/ZALO: 0567 222 555#BatDongSanHaiPhong #DoSon #NamDoSon #HopDuc #KhuDanCuQuyetTien #CoHoiDauTu #ThanhKhoanTot
Tìm kiếm theo từ khóa
Video & Hình ảnh:
Thông tin chi tiết
Danh mục Bán đất Hải Phòng
Giấy tờ pháp lý Sổ Đỏ
Chiều ngang 64 m
Diện tích 55 m2
Thông tin khác
Loại tin đăng Miễn phí
Ngày cập nhật
Ngày hết hạn
Lưu ý

Bạn đang xem tin đăng "Lô 55.2m² giá 7xx triệu – lô hiếm mặt tiền 6.4m, ngõ nhựa ô tô tránh zalo 0567 222 555", có mã số #291446, được cập nhật . Thông tin rao vặt là do người đăng tin đăng tải toàn bộ thông tin. Chúng tôi hoàn toàn không chịu trách nhiệm về bất cứ thông tin nào liên quan đến các thông tin này. Hãy thông báo cho chúng tôi nếu tin này không hợp lệ.

Phản ánh / Báo xấu

Tính lãi suất vay

Giá nhà đất
VNĐ
Số tiền vay
Thời gian vay
Lãi suất
Phương thức tính
Trả trước -
Tiền vay -
Lãi cần trả -
Tiền gốc -
Tiền lãi -

Bảng tính chỉ có giá trị tham khảo. Vui lòng liên hệ tư vấn trực tiếp để nhận được thông tin chính xác nhất.

Bất động sản khác tại Quận Đồ Sơn

Lô đẹp giá chỉ 5xx triệu – hiếm có tại trung tâm hợp đức!  zalo 0567 222 555 5 ảnh

Lô đẹp giá chỉ 5xx triệu – hiếm có tại trung tâm hợp đức! zalo 0567 222 555

580 triệu 40 m 2 1 ngày trước
Lô đẹp giá chỉ 5xx triệu – hiếm có tại trung tâm Hợp Đức! ZALO 0567 222 555 -Diện tích: 40.8m²-Mặt tiền: 4.8m-Đường trước đất: Ngõ 3m bê tông, ô tô vào thoải mái-Vị trí: Tổ dân phố Quyết Tiến 2, phường Hợp Đức, Đồ Sơn-Tiện ích: Gần trường – chợ – khu dân cư đông, di chuyển ra trục 353 rất nhanh-Pháp lý: Bìa đỏ chính chủ-Giá: 5xx triệu-Tiềm năng: Giá vào quá thấp cho vị trí trung tâm – thanh khoản cao, phù hợp mua giữ ngắn hạn hoặc xây nhà mini–cho thuê ============================================NHÀ ĐẤT ANH MINH 782 Phạm Văn Đồng, Dương Kinh, Hải PhòngTrọng Điểm: Dương Kinh • Đồ Sơn • Kiến ThụySĐT/ZALO: 0567 222 555#BatDongSanHaiPhong #DoSon #HopDuc #QuyetTien2 #CoHoiDauTu #ThanhKhoanTot
Lô góc 2 mặt tiền – giá chỉ 1,0xx tỷ, hàng hiếm trung nghĩa!  zalo 0567 222 555 5 ảnh

Lô góc 2 mặt tiền – giá chỉ 1,0xx tỷ, hàng hiếm trung nghĩa! zalo 0567 222 555

1 tỷ 70 triệu 52 m 2 1 ngày trước
Lô góc 2 mặt tiền – giá chỉ 1,0xx tỷ, hàng hiếm Trung Nghĩa! ZALO 0567 222 555 -Diện tích: 52m² vuông vắn-Mặt tiền: 4m-Hướng: Đông Nam-Đường trước đất: Ngõ thông rộng, ô tô vào tận nơi-Vị trí: Trung Nghĩa, Đồ Sơn – cách mặt đường 353 chỉ hơn 100m-Gần chợ Quý Kim, gần KCN Đồ Sơn, dân cư đông đúc – tiềm năng khai thác cực tốt-Pháp lý: Bìa đỏ chính chủ-Giá: 1,0xx tỷ-Tiềm năng: Lô góc hiếm – phù hợp xây nhà cho thuê hoặc giữ đất theo trục phát triển đô thị – công nghiệp Đồ Sơn ============================================NHÀ ĐẤT ANH MINH 782 Phạm Văn Đồng, Dương Kinh, Hải PhòngTrọng Điểm: Dương Kinh • Đồ Sơn • Kiến ThụySĐT/ZALO: 0567 222 555#BatDongSanHaiPhong #DoSon #TrungNghia #DatTrungNghia #CoHoiDauTu #ThanhKhoanTot
F0 giá hiếm 1,1xx tỷ – lô đẹp 43,4m² tuyến 2 trung nghĩa  zalo 0567 222 555 5 ảnh

F0 giá hiếm 1,1xx tỷ – lô đẹp 43,4m² tuyến 2 trung nghĩa zalo 0567 222 555

1 tỷ 150 triệu 43 m 2 2 ngày trước
F0 giá hiếm 1,1xx tỷ – lô đẹp 43,4m² tuyến 2 Trung Nghĩa ZALO 0567 222 555 -Diện tích: 43,4m²-Mặt tiền: 4,6m-Đường trải nhựa rộng 4m, ô tô vào tận đất-Vị trí: Tuyến 2 đường Trung Nghĩa, chỉ sau 1 nhà mặt đường-Khu dân cư sầm uất, gần trục Phạm Văn Đồng – kết nối nhanh Đồ Sơn – Dương Kinh-Pháp lý: Sổ hồng chính chủ, cầm tay sang tên ngay-Giá: 1,1xx tỷ -Tiềm năng: Hàng F0 giá đầu vào quá đẹp – nguồn cung cực hiếm – dễ ra hàng cho nhà đầu tư lướt hoặc giữ tài sản. Liên hệ xem lô trực tiếp – đẹp thật giá tốt! ============================================NHÀ ĐẤT ANH MINH 782 Phạm Văn Đồng, Dương Kinh, Hải PhòngTrọng Điểm: Dương Kinh • Đồ Sơn • Kiến ThụySĐT/ZALO: 0567 222 555#BatDongSanHaiPhong #DoSon #TrungNghia #CoHoiDauTu #ThanhKhoanTot #F0GiaTot
Lô đất 150m² giá hiếm – mặt đường nhựa, sát trục 403 – thanh khoản cao  zalo 0567 222 555 5 ảnh

Lô đất 150m² giá hiếm – mặt đường nhựa, sát trục 403 – thanh khoản cao zalo 0567 222 555

3 tỷ 600 triệu 150 m 2 01-12-2025
Lô đất 150m² giá hiếm – mặt đường nhựa, sát trục 403 – thanh khoản cao ZALO 0567 222 555 -Diện tích: 150m²-Mặt tiền: 6m vuông vắn-Đường trước nhà: Đường nhựa rộng 5–6m, ô tô tránh nhau-Vị trí: Tổ dân phố Đề Thám, phường Minh Đức, Đồ Sơn – cách trục 403 khoảng 20m-Mốc giới rõ ràng, khu dân cư hiện hữu, xung quanh nhiều kho xưởng – dãy trọ-Pháp lý: Sổ đỏ lâu dài, sang tên nhanh-Gần KCN Đồ Sơn, Đặc khu Tú Sơn, gần các cụm kho xưởng – nhu cầu thuê và ở thực lớn-Giá: 2x triệu/m²-Tiềm năng: Khu vực đang phát triển mạnh theo trục 403 – biên độ tăng giá tốt, thanh khoản cao Liên hệ để xem đất thực tế và nhận phân tích đầu tư chuyên sâu. ============================================NHÀ ĐẤT ANH MINH 782 Phạm Văn Đồng, Dương Kinh, Hải PhòngTrọng Điểm: Dương Kinh • Đồ Sơn • Kiến ThụySĐT/ZALO: 0567 222 555 #BatDongSanHaiPhong #DoSon #MinhDuc #DeTham #CoHoiDauTu #ThanhKhoanTot
Lô đẹp giá 7xx triệu – hợp đức, nam đồ sơn – ngõ nhựa từng lô – zalo 0567 222 555 5 ảnh

Lô đẹp giá 7xx triệu – hợp đức, nam đồ sơn – ngõ nhựa từng lô – zalo 0567 222 555

795 triệu 55 m 2 01-12-2025
LÔ ĐẸP GIÁ 7XX TRIỆU – HỢP ĐỨC, NAM ĐỒ SƠN – NGÕ NHỰA TỪNG LÔ – ZALO 0567 222 555 -Diện tích: 55,2m²-Mặt tiền: 6,4m-Đường nội khu trải nhựa rộng, ô tô vào từng lô-Vị trí: Quyết Tiến – Hợp Đức, trung tâm phường Nam Đồ Sơn-Pháp lý: Sổ đỏ rõ ràng, sang tên nhanh-Tiện ích: Khu dân cư hiện hữu, gần trường – chợ – trục ra khu du lịch Đồ Sơn -Giá: 7xx triệu -Tiềm năng: Khu Nam Đồ Sơn hưởng lợi từ hạ tầng du lịch – dịch vụ; đất nhỏ tiền, dễ thanh khoản, phù hợp đầu tư lướt hoặc giữ dòng tiền dài hạn. Liên hệ xem vị trí thực tế – có hỗ trợ chọn lô đẹp. ============================================NHÀ ĐẤT ANH MINH 782 Phạm Văn Đồng, Dương Kinh, Hải PhòngTrọng Điểm: Dương Kinh • Đồ Sơn • Kiến ThụySĐT/ZALO: 0567 222 555 #BatDongSanHaiPhong #DoSon #HopDuc #QuyetTien #CoHoiDauTu #ThanhKhoanTot